赤穂市 北野中(坂越駅) 住宅用地
1 / 11
価格
650万円
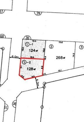
土地面積
128.00㎡
最適用途
住宅用地
坪数
38.71坪
所在地
兵庫県赤穂市北野中
兵庫県赤穂市北野中
JR赤穂線「坂越駅」徒歩9分
お問い合わせ先
ひかり不動産
ひかり不動産
人気のこだわり条件
アピールポイント
周辺地図
兵庫県赤穂市北野中 周辺の地図
周辺施設
イオン赤穂店 距離:1,732m
DiREX赤穂店 距離:1,525m
赤穂市立坂越中学校 距離:1,087m
赤穂市立坂越小学校 距離:1,306m
赤穂市立坂越幼稚園 距離:1,338m
JA兵庫西坂越支店 距離:821m
赤穂市立図書館 距離:2,119m
赤穂化成ハーモニーホール 距離:2,022m
物件概要
物件名
赤穂市 北野中(坂越駅) 住宅用地
交通
JR赤穂線 / 坂越駅 徒歩9分
所在地
兵庫県赤穂市北野中
物件種目
土地
価格
650万円
坪単価
16.79万円
借地期間・地代
(月額)
(月額)
-
権利金
-
敷金 / 保証金
- / -
維持費等
-
その他一時金
-
備考
他所在地:西播都市計画事業野中・砂子区画整理事業35街区1-2画地
特記事項
バス・トイレ
-
キッチン
-
設備・サービス
-
その他
土地面積
128.00m²(公簿)
坪数
38.71坪
最適用途
住宅用地
私道負担面積
なし
土地権利
所有権
都市計画
市街化区域
用途地域
1種住居
地勢
平坦
建ぺい率
60%
容積率
200%
接道状況
南西 6.0m 公道・南東 6.0m 公道
地目
雑種地
国土法届出
-
セットバック
条件等
-
現況
更地
引渡し(可能時期/方法)
相談 / 相談
物件番号
6979548392
掲載会社 管理番号
-
取引態様
専任媒介
情報公開日
2023年7月8日
次回更新予定日
2026年4月24日
この物件の取扱い会社:ひかり不動産
不動産の売りたい、買いたいのご要望は当社におまかせください。
住所
兵庫県赤穂市中広1056-1
地図
代表者
千崎 淳司
電話/FAX
0791-42-5557
交通
JR赤穂線/播州赤穂駅 徒歩8分
営業時間
9:00~18:00
定休日
不定休
免許番号
兵庫県知事免許(5)第550114号
所属団体
(一社)兵庫県宅地建物取引業協会会員
(公社)近畿地区不動産公正取引協議会加盟
(公社)近畿地区不動産公正取引協議会加盟






